بورت أو برنس: رويترز
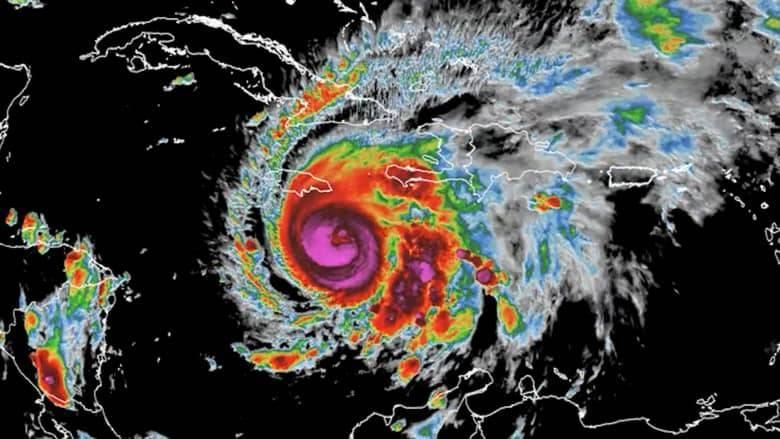
اجتاح الإعصار ميليسا شمال البحر الكاريبي اليوم الخميس، مخلفاً رياحاً عاتية وأضراراً في جامايكا وكوبا وهايتي، فيما تستعد برمودا لاقترابه مساءً.
وأكدت التقارير أن الإعصار أسفر عن 25 وفاة في هايتي، بينهم 10 أطفال، وأربعة قتلى في جامايكا، كما عزل الإعصار 241 مجتمعاً في كوبا وأثر في نحو 140 ألف نسمة، بينما أجّلت السلطات هناك نحو 735 ألف شخص تحسباً لاقتراب العاصفة.
وبلغت سرعة رياح ميليسا نحو 165 كيلومتراً في الساعة بعد خفض تصنيفه إلى إعصار من الدرجة الثانية، ومن المتوقع أن يواصل تسارعه باتجاه الشمال الشرقي، مروراً بشمال غرب برمودا قبل أن يضعف يوم الجمعة.
وتم إغلاق جسر برمودا وجميع المدارس غداً، وتعليق حركة السفن، وحثت السلطات السكان على البقاء في منازلهم ومراقبة أحوال الجيران، تحسباً لتأثيرات العاصفة.
الإعصار ميليسا يجتاح شمال الكاريبي ويتجه نحو برمودا
الإعصار ميليسا يجتاح شمال الكاريبي ويتجه نحو برمودا
















0 تعليق